
1. There might be yet another potential hang-up with the Lansing Meadows project. Previously, developer Eric Goetzmann presented planned to the Lansing village Board of Trustees to densify the initial 12-unit plan and add a small retail component, such as a coffee shop, diner or similar gathering venue. The idea was well received, and so Goetzmann approached the planning board with 20 senior housing units and a small commercial lot TBD, where it was A) news to them, and B) not-so-well received.
According to the Lansing Star, the objection is not to the housing; in fact, the planning board said they’d prefer another four housing units rather than commercial. But they’re not comfortable with the sudden change, and Goetzmann’s looking at the additional costs of revised plans because the Board of Trustees and the Planning Board were not on the same page. It is kind of a weird situation, although not unprecedented (it bears some similarity to the 201 College debate in Ithaca city last year, where the Planning Department and Planning Board were not on the same page). The boards are supposed to meet in early April to retify their differences so Goetzmann knows what he can move forward with, hopefully by this summer.
Looking at the screenshot above, Salem R. LaHood of suburban Syracuse is the architect; apart from being a design partner for some high-end outlet malls, I can’t find much else on his resume.

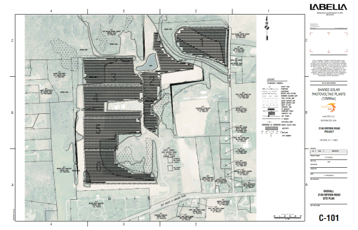
2. The solar arrays planned in Dryden are getting are less-than-welcome reception, per Cassandra Negley at the Ithaca Times. The argument is pretty similar to the one often used on affordable housing – “we know it’s needed and we like it in concept, but we don’t want it anywhere near us”. But then far from one person is close to another; and it results in lackluster solutions, like affordable housing so far out that it’s isolated from needed goods and services.
One of the biggest sources of opposition is from family and friends of those interred at the Willow Glen Cemetery, which is the landscaped area south of the panels in the image above. Although many of the opposed do not even live in New York, let alone Dryden, it’s argued that the project is “sneaky back-room industrial solar” and will “destroy the atmosphere” (coincidentally, the land across the road from Willow Glen is zoned for and being marketed to roadside commercial tenants). It’s fine to be concerned, but looking at this particular site, the anger is a little overblown – there is sufficient room for a green screen of hedges and trees between the panels and the cemetery, which could easily be included as a stipulation as part of the approvals. Sustainable Tompkins is attempting to push back against some of the criticism, but on the balance, the public comment on the Dryden solar arrays is negative.
Let me approach this with an overarching view. Dryden is strongly opposed to an increase in natural gas (much to Lansing’s chagrin). Wind energy has been vociferously opposed just over the valley in Enfield, and Newfield essentially outlawed wind turbines. Solar panels are also being fought in Ulysses and Newfield. In Ithaca, there have been onerous battles over allowing panels on rooftops in historic districts. The energy to power homes and businesses has to come from somewhere; the preference seems to be for a sustainable option, rather than oil or gas piped in from Pennsylvania or beyond. Every choice is going to have its pros and cons – gas is cheap but environmentally unsound; wind turbines are tall and highly visible; solar panels need space for their cells. Frankly, a lightly-populated area on untaxed land owned by Cornell, which would then pay a PILOT fee for the solar panels, seems like a reasonable option. Someone has to step up and lead by example. Why not the town that fought fracking and won?
Anyway, the town pushed their meeting on the project back by one week to digest the onslaught of criticism. The meeting will be held at the town hall on Thursday April 6th at 7 PM.
UPDATE: The April 6th meeting has been cancelled and cannot be rescheduled until additional paperwork about the project has been received.

3. On the topic of energy, it looks like Cornell wants to move ahead with a trial run of its experimental geothermal project. Per the Times, the initial test phases of the “Earth Source Heating” project could take up to six years and $12-$15 million, which is a lot of money given that no one is certain if it will ultimately be a viable source of renewable energy. Some concern is being expressed that the project is too similar to fracking, but unlike the fracking process, where water is used to shatter shale beneath the surface to extract natural gas, the water used here is much lower pressure and kept in a closed loop, in comparison to fracking’s constant expansion of extraction sites. For the time being, the naysayers are assuaged, so now comes years of designing the project and permitting; an extensive Envrionmental Impact Statement (EIS) seems almost certain. ESH would be groundbreaking in more ways than one, if successful.

4. It looks like the major hurdles to the Travis Hyde Properties Old Library redevelopment have been cleared. With the historic district Certificiate of Appropriateness granted from the city’s ILPC, it’s now a matter of going through site plan review – the developer is hoping for an expedited process that’s settled by May, which given the joint meetings between the Planning Board and ILPC, may be possible. The design review is already complete as is most of the documentation, so at this point, it’s just a matter of making sure there are adequate environmental mitigations in place. After that, it’s time for the county to draft up their docs for the $925,000 sale of the property, and hopefully THP can get the mixed-use project underway later this year. The 73,600 SF project will host 58 market-rate units for the 55+ crowd, community space administered by senior services nonprofit Lifelong, and 1,250 SF of street-front commercial.

5. The Tompkins County IDA held its public hearing for the City Centre tax abatements. As expected, the reactions were mixed. A couple of developers not associated with the project (Frost Travis and Todd Fox) came out and spoke in support, which is really great. For one, these guys are invested in the city and knowledgeable about the market, so they should have an idea on whether City Centre would be a welcome economic addition or detraction. For two, it’s nice to see members of the same real estate community standing up for each other. There are cases now and in the not-so-distant past where developers went out of their way to fight other projects, with the parochial scope that as few units as possible would mean as high rents (revenue) as possible. I’m not necessarily saying every project is great and they need to stick up for it, but it’s heartening to see some are taking a broader scope and speaking on behalf of the ones they recognize as beneficial to the community.
The detractors seem less upset about the project itself than the abatements, and there is the fundamental misunderstanding that taxpayers are “paying” for this project. There is no paying; it just phases in the new property taxes on top of the existing value and taxes for the parcel, rather than one big lump increase from the moment of completion. For the sake of example, if they’re paying $100,000 in taxes now, and a given project will bring it up to $1,000,000 in taxes, an abatement means they’ll still pay $100,000 until the site’s developed, then $200,000 right after completion, then $300,000 the following year, and so on until $1,000,000 (plus inflation) is attained. I’ve tried to explain this in the Voice, the Times has tried to explain this, but it’s still a problem.

6. Two Collegetown projects were brought to light at last week’s planning board meeting. 232-236 Dryden, a Visum Development project, would replace a large surface parking lot and rundown 30-unit apartment building with a 191-bed, 2-building complex. 238 Linden, a Novarr-Mackesey infill project, replaces a 10-bed, non-historic apartment house with 24 studio units in a townhouse-format structure designed by his favorite firm, ikon.5 Architects of Princeton. The target market is Johnson students, particularly Executive MBAs who may want to be closer to the university. One of the neat features is that the rear will have a treated “chameleon-like” surface that will change color depending on viewing angle, not unlike the pearl metallics used on some custom cars.
The plan is to have both 232-236 Dryden and 238 Linden underway late this year. Both are likely to have August 2018 openings, although 232-236 Dryden might be a two-phase project, with the second structure coming online in August 2019.
Keen readers will note that the Times has the sole coverage of 238 Linden right now, and this was not in the Voice; Nick Reynolds was at the meeting, I was not, and while I’ve been trying to get renders, I have yet to come through with one. I’d rather play catch-up than sacrifice integrity. I’ll follow up in the Voice eventually, but in the meanwhile, the blog is fair game because I make no money from it.

7. The town of Ithaca planning board looks to have a fairly quiet agenda for next week. Renewing some temporary modular structures at Cornell, construction signage for Maplewood, and An 11-lot subdivision on South Hill, “Ithaca Estates III” featuring Lilium Lane, Monarda Way and Rock Cress Road.
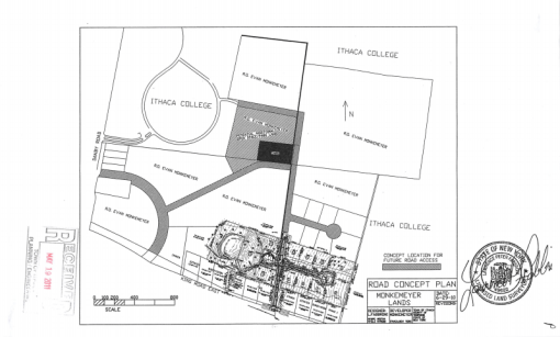
Unfortunately, it’s the Monkemeyer property, where the town has been entertaining ideas of a new urban neighborhood since its new Comprehensive Plan was passed in 2014. Evan Monkemeyer chose to revive a plan from 2010 for two cul-de-sacs off of a new arterial road that would cut through the property; and given the long-term build-out schematic shown above, there would be more cul-de-sacs to come, for a fairly conventional 1990s era suburban layout. Even though he’s apparently mowed the future roads in place on satellite, this doesn’t match up with the town’s Form Ithaca-inspired visions at all. The issue isn’t the housing, it’s the layout. The town’s planning push has been moving away from cul-de-sacs and towards connected streets.
Monkemeyer’s gone down this road before. It didn’t work out very well. Reviving a seven year-old plan that doesn’t fit with the town’s more recent Comprehensive Plan is not, and shouldn’t be, something that is going to sail through the planning board. Token future park space isn’t going to change that. Of course, then he’ll just whine to Rep. Tom Reed again. To Monkemeyer’s credit, the town has been taken uncomfortably long with formulating their new zoning code, it looks like some of the multi-year delay was the town’s fault over who was responsible for a water easement – but given the 6+ years since the issue was raised, it doesn’t appear he was pushing the matter much.