
1. Starting with with the new project of the week. In case it was missed, the write-up for the new 5-story apartment building proposed for 201 College Avenue can be found here. 201 College is being proposed by Todd Fox under his new development entity, Visum Development Group; Modern Living Rentals will continue to exist as a rental property management company. Excluding perhaps a small question with where the average grade is to determine the 70′ max height, is looks like the proposal fits the MU-1 zoning; and apart from a couple of the usual grumblings against students and/or density, there isn’t likely to be too much of an issue with the proposal. Noah Demarest of STREAM Collaborative is responsible for the design, which will make be faced with colored metal panels.
On a related note, the Journal broke this before the Voice, and it appears they may have used to the city’s Site Plan Review pre-application as a source. That’s not online for public viewing; someone would have had to give it to them. Which seems a bit dodgy, given one of the goals of the now-mandatory pre-application is to offer initial thoughts to make sure a project is palatable, and to avoid another public controversy like State Street Triangle.

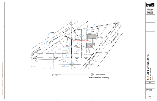
2. Meanwhile, the other partner in Modern Living Rentals, Charlie O’Connor, is pursuing a small project of his own on the other side of the city. O’Connor has submitted subdivision plans to merge two lots at 312 and 314 Spencer Road, and subdivide two legally-buildable lots from the merged property for a total of three, one of which will contain the existing houses. The new lots would be on vacant land behind the existing houses, which are currently owned by the Lucatellis (the same folks who ran Lucatelli’s next door). O’Connor would be purchasing the home and land pending approval of the subdivision. Each of the two new lots would then be developed into a 2-family home. Noah Demarest of STREAM Collaborative is handling the application. Drawings can be found here.

3. The Biggs Parcel will be put up for sale. As the county notes in its press release, the county administrator has been given permission to procure a realtor and market the property on the condition that any offers from the Indian Creek Neighborhood Association and/or the town of Ithaca be entertained (though not necessarily selected). The ICNA had offered some unknown amount for the property, which they have sought to keep undeveloped, but the offer was rejected. Previously, the site was the location of a proposed 58-unit affordable housing development, but the project was discontinued when more extensive wetlands were discovered on the property.
One of the big sticking points has been whether or not the 25.5 acres would be taxable – the county wants to sell to a private owner that will pay taxes, but proposals to preserve the land often dovetailed with plans to donate it to an organization like Finger Lakes Land Trust, which would render the property tax-exempt. The land had been valued at $340,000 before the discovery of the additional wetlands, and the reassessment value will become available on May 1st.
Realtors will apply to the county to list the parcel, and a realtor is expected to be chosen by the county by May 4th.
4. A large property in Trumansburg village noted for development potential has sold after being on the market for two and a half years. Local architect Claudia Brenner picked up the 19.27 acres in two adjacent parcels for $240,000 on the 22nd,
about 25% off its original $300k asking price. 18.77 acres is registered to 46 South Street, the other 0.5 acres is a small L-shaped lot between 209 and 213 Pennsylvania Avenue. The previous owners used the property as cropland, and it had been in the same family since the 1940s.
In an email, Brenner said it’s too early to comment, but that future plans are being considered. The site has the village’s R-1 zoning, which allows home lots as small as 15,000 SF (~0.35 acres), and small scale multi-family residential and commercial services.

5. Talk about big delays. Tompkins Financial will be pushing their $26.5 million project back a whole year, according to an interview a Cornell Sun staffer conducted with JoAnn Cornish, the city’s planning director. The project was supposed to start this quarter and be completed in Q1 2017. Now it will be completed in Q1 2018.

6. A few months ago, the Summit Enterprise Center proposal in Danby was described in one of the weekly news roundups. Docs filed by STREAM Collaborative’s Noah Demarest on behalf of owner David Hall call for modifications of a Planned Development Zone for the property at 297-303 Gunderman Road. Danby’s PDZ is not unlike the city’s PUD and town of Ithaca’s PDZ, where the form and layout is regulated rather than the use. The original PDZ for the property dates from the mid-1990s.
Well, after months of vociferous debate, the project has officially gone into bureaucratic Hell, complete with political turmoil and accusations a-flyin’. My colleague Mike Smith has the full story on the Voice. Rather than rehash Mike’s detailed explanation, let’s just leave it at this – Summit probably isn’t moving forward anytime soon.